Noticia em Destaque
Supertufão ‘Sinlaku’ pode alterar temperaturas e intensificar calor na região sudeste do Brasil
Notícia em Destaque
Por Entre Cidades
Espaço para a comunicação de erros nesta postagem
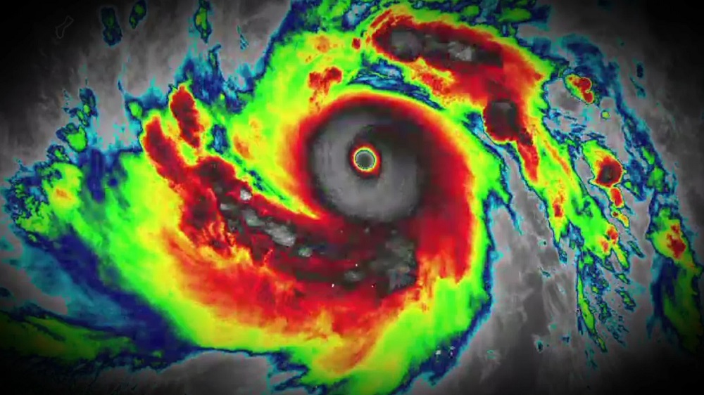
A formação do Supertufão Sinlaku no Pacífico Oeste acendeu um alerta entre especialistas e pode indicar uma mudança importante no clima global. Com intensidade equivalente à categoria 5, o fenômeno levanta a possibilidade de retorno do El Niño, que costuma alterar padrões de chuva e temperatura no Brasil. O Sinlaku se formou rapidamente e atingiu força máxima em pouco mais de um dia, impulsionado por temperaturas da superfície do mar muito acima da média. Esse aquecimento fornece energia para ciclones tropicais e é um dos principais sinais de desequilíbrio climático. “O fenômeno foi impulsionado por águas excepcionalmente quentes no oceano”, apontam análises meteorológicas. Mudança no clima global A intensidade do tufão não chama atenção apenas pelo impacto local, mas pelo que pode representar em escala global. Especialistas indicam que a formação do sistema pode estar associada a uma redistribuição de calor no Pacífico, típica da transição para o El Niño. Esse processo ocorre quando os ventos alísios enfraquecem, permitindo que águas quentes se desloquem da região da Indonésia em direção ao centro e leste do oceano. Calor no oceano O deslocamento do calor acontece por meio de ondas conhecidas como Kelvin, que transportam energia térmica ao longo do Pacífico equatorial. Esse movimento forma uma faixa de águas aquecidas, característica do El Niño. “Esse padrão altera a circulação atmosférica global e influencia o clima em diferentes regiões do planeta”, explicam especialistas. Impactos no Brasil Caso o El Niño se confirme, os efeitos no Brasil podem ser significativos. Historicamente, o fenômeno está associado ao aumento de chuvas no Sul, com risco de enchentes e temporais. Já no Sudeste e no Centro-Oeste, a tendência é de temperaturas mais elevadas e períodos de calor intenso. No Nordeste, o cenário pode ser de redução das chuvas e maior risco de seca. Essas mudanças afetam diretamente a agricultura, os recursos hídricos e a ocorrência de eventos climáticos extremos.Efeitos do El Niño O El Niño ocorre em ciclos que variam entre três e cinco anos e faz parte de um sistema climático mais amplo, que inclui também o fenômeno oposto, a La Niña. Enquanto o El Niño está ligado ao aquecimento das águas do Pacífico, a La Niña representa o resfriamento dessas mesmas áreas, gerando efeitos inversos. No caso atual, os sinais observados no oceano indicam uma possível transição entre esses padrões. MonitoramentoApesar dos indícios, especialistas destacam que ainda é necessário acompanhar a evolução das condições oceânicas e atmosféricas para confirmar a formação do El Niño. O comportamento das temperaturas do mar e dos ventos nas próximas semanas será determinante para definir se o fenômeno irá se consolidar. *Fonte: O Globo.

Nossas notícias no celular
Receba as notícias do Entre Cidades no seu app favorito de mensagens.
Whatsapp